Huracanes: Irma, Dreamers y maestros estafadores.

Este martes se ve afectado por vientos huracanados. ¿Qué huracán causará más daño y en dónde?

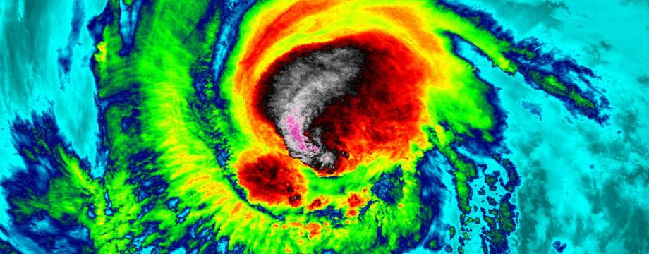
El huracán Irma.

Irma, el huracán categoría 5, observado desde la Estación Espacial Internacional durante la mañana del 5 de septiembre de 2017. En su trayectoria hacia el este, Irma amenaza a la población de las islas del Caribe. Si no hay cambios, podría tocar tierra en el estado de Florida en algún momento del próximo fin de semana.

El huracán Trump.

El mismo día, la Casa Blanca de los Estados Unidos anunció – a través del fiscal general Jefferson Beauregard Sessions III – su decisión de dar por terminado el programa DACA, (Deferred Action for Childhood Arrivals), con lo que unos 800,000 jóvenes que viven en los Estados Unidos, los descendientes de migrantes de diferentes nacionalidades, quedan en un incierto limbo legal dentro de ese país.

El huracán Estafa Maestra.

En México, el trabajo periodístico de los reporteros de Animal Político desenmascara una red de corrupción que «el gobierno federal, a través de 11 dependencias, … ha utilizado una y otra vez para desviar miles de millones de pesos. … se detectaron contratos ilegales por 7 mil 670 millones de pesos y de este dinero no se sabe dónde quedaron 3 mil 433 millones.» Una parte de los recursos desviados eran de programas de bienestar social.

De los tres huracanes mencionados, qué huracán causará más daño y en dónde.

Veremos.

Categorías: Retórica de lo Trivial | 2 comentarios

Navegador de artículos

2 pensamientos en “Huracanes: Irma, Dreamers y maestros estafadores.

  1. Pingback: El “Arco de Caracalla” en Volubilis, Marruecos. | Heroísmo Agonizante 101 (Sólo para principiantes)

  2. Great reaad thankyou

    Me gusta

Deja un comentario

Blog de WordPress.com.

Anna Fonte's Paper Planes

Words, images & collages tossed from a window.

Deletreados

Literatura y Psicoanálisis

bienestarterapiasdotcom.wordpress.com/

Acupuntura, Reiki, Estética, Biomagnetismo, Masajes

telodigosindecirlo

realidad interpretada

Angela Dalmar

madre de las mariposas

LA REALIDAD DIARIO

Diario satírico y puede que humorístico. Rigor subjetivo

Tenebris Ficta

Espejos a otras realidades

Hams Sneyder

Pensamientos que ayudan

perezitablog

Amando mi caos.

Así, como un 8 tumbado

Abriendo el alma

Terminando de empezar

las vueltas que da la vida.....

EL ARTCA

Poesía Microrrelatos Arte Música

Lo que me robó el Covid

Memoria colectiva

Lo que te trae la marea

Creaciones artísticas, ilustraciones, cuadros y dibujos

InBLOGnito

on the internet, nobody knows you're a blog

Discover WordPress

A daily selection of the best content published on WordPress, collected for you by humans who love to read.